I first started blogging for Weather Underground, the weather service I founded, in the spring of 2005. For the first few months, it was a slow time for interesting weather events, and I had trouble finding topics to write about. I was relieved when June 2005 brought two Atlantic tropical storms to discuss.
But as July brought an unprecedented five named storms, three hurricanes, and two major hurricanes that were the strongest hurricanes ever recorded so early in the season, I was ready for less to write about. The peak of hurricane season was still a month away.
I managed to take advantage of a slight break in the action in mid-August to travel for vacation and business, and the day Katrina was named — August 24 — I was in New York City, attending meetings with the Associated Press, which had just signed up to use Weather Underground as the weather provider for their 5,000 newspapers.
I wasn’t able to follow the storm closely that day because of the meetings. Still, I had an uneasy feeling about this new storm named Katrina. When one of the AP staff members remarked, “It sure has been a slow summer for news. We need a big story,” I looked at her hard and thought, “Be careful what you wish for — you might get it!”
I flew home on Thursday, August 25, when Katrina was an intensifying tropical storm headed for South Florida. The next morning, I decided to drive north with my family to spend a four-day weekend at my father’s house. High-speed Internet was not available in his small town of Topinabee, Michigan, on beautiful Mullet Lake, so I knew I’d be spending some hours blogging on his slow 9,600-baud dial-up connection.
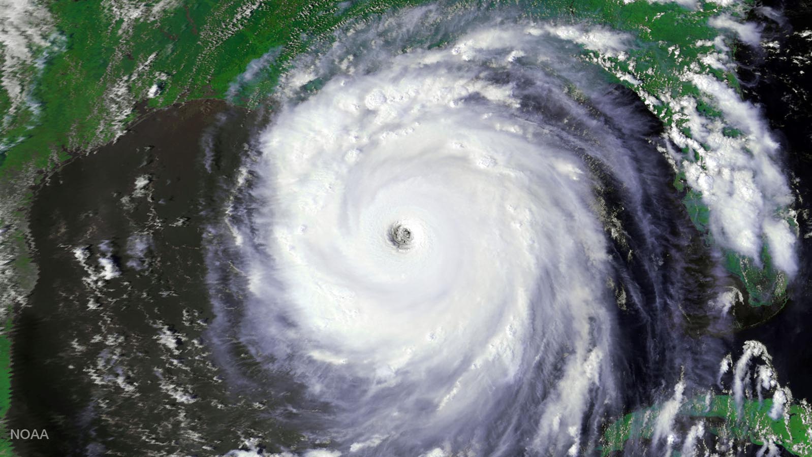
Still, I figured Katrina would quickly recurve to the north and hit the Florida Panhandle before it had a chance to become a major hurricane, like the National Hurricane Center was predicting that morning.


Wrong. The NHC forecast that evening made a dramatic 200-mile shift to the west, putting landfall perilously close to New Orleans. I spent virtually the entire weekend holed up upstairs in the computer room, writing increasingly worried and strident blog posts exhorting people in New Orleans and Mississippi to evacuate. Every now and then, I’d emerge downstairs and say hi to everyone, then head back up to my cell to watch slowly loading pages and write new posts. Finally, I couldn’t take it anymore and talked my family into returning home a day early, on Sunday, August 28, the day before Katrina made landfall in Mississippi.
Here’s my entry on Jeff Masters’ Wunderblog posted at 10 a.m. EDT Saturday, August 27, two days before landfall:
I’d hate to be an Emergency Management official in New Orleans right now. Katrina is pretty much following the NHC forecast, and appears likely to pass VERY close to New Orleans. I’m surprised they haven’t ordered an evacuation of the city yet. While the odds of a catastrophic hit that would completely flood the city of New Orleans are probably 10%, that is way too high in my opinion to justify leaving the people in the city. If I lived in the city, I would evacuate NOW! There is a very good reason that the coroner’s office in New Orleans keeps 10,000 body bags on hand. The risks are too great from this storm, and a weekend away from the city would be nice anyway, right? GO! New Orleans needs a full 72 hours to evacuate, and landfall is already less than 72 hours away. Get out now and beat the rush. You’re not going to have to go to work or school on Monday anyway. If an evacuation is ordered, not everyone who wants to get out may be able to do so–particularly the 60,000 poor people with no cars.
In the months that followed, it was gratifying to hear from a number of blog readers who had heeded my advice and gotten out of the city before Katrina hit. Fellow meteorologist Steve Gregory, who also blogged at Weather Underground about the impending catastrophe, had a similar experience. Sounding the alarm was the right call! Now if only my posts on climate change would evoke a similar response …
Coming soon: a follow-up post marking the 20th anniversary of Katrina titled, “What happens when the next big hurricane hits New Orleans?”
Bob Henson contributed to this post.
Source link
