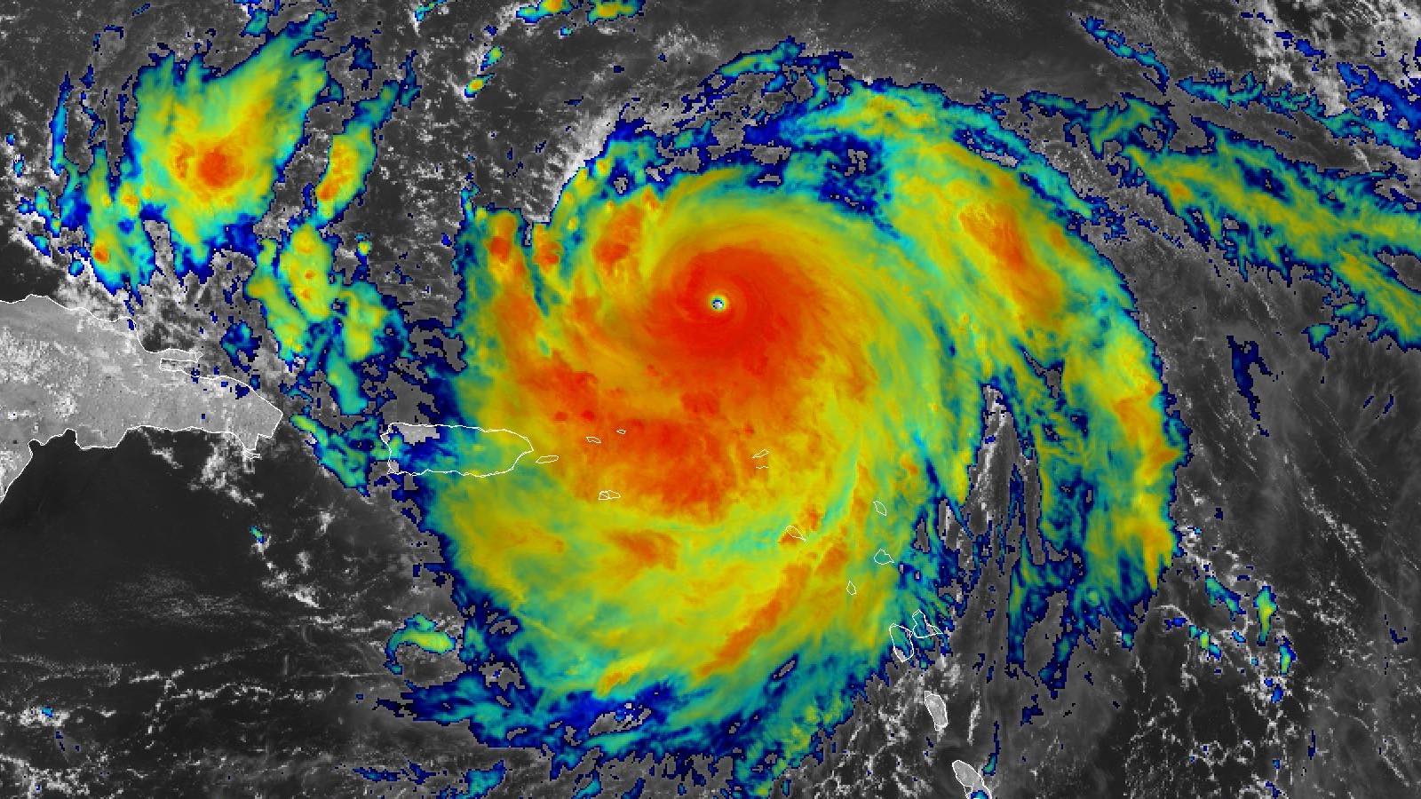
Strengthening at a jaw-dropping pace, Hurricane Erin – which had reached Category 1 strength at 11 a.m. EDT Friday, August 15 – was officially proclaimed a Category 5 storm at 11:20 a.m. EDT Saturday. As of 2 p.m. EDT Saturday, Erin’s top sustained winds were at 160 mph. Erin is the earliest cat 5 storm ever recorded in the open Atlantic (the area north and east of the Caribbean and Gulf of Mexico), and it’s one of the Atlantic’s fastest-strengthening storms on record. Erin was located about 110 miles north of Antigua, moving just north of due west at 16 mph. Erin’s central pressure was 915 mb.
Erin is the planet’s second Category 5 storm of 2025, arriving exactly four months after the first one. Cyclone Errol developed off the coast of northwest Australia and rapidly intensified from cat 1 to cat 5 strength in less than 24 hours on April 15–16. Errol then weakened drastically before coming onshore as a tropical low.
Erin’s well-structured circulation took advantage of upper-level support and unusually warm sea surface temperature for mid-August. Wind shear of 5-10 knots was a bit lighter than expected, and Erin’s compact size made it easier for the hurricane to strengthen quickly. Oceanic heat content below the surface was not exceptionally high, but Erin’s brisk west-northwest pace of 15-20 mph ensured access to a steady supply of warm water along the hurricane’s path despite fierce winds churning up the sea surface.
Rapid intensification is one of the most dangerous aspects of hurricanes, typhoons, and cyclones, especially when it occurs in the day or so prior to landfall. As recently documented by Jeff Masters here at Eye on the Storm, episodes of rapid intensification are multiplying with human-caused climate change, hand in hand with sustained warming of the planet’s oceans. The most recent research on the issue, “Warming-induced historical (1871-present) increase in tropical cyclone rapid intensification,” concluded, “We compare the observed, simulated, and projected changes and show that the increase in global (and North Atlantic) rapid intensification represents an emergent global warming signal.”
READ: Climate change brings more rapidly intensifying hurricanes; NOAA cuts makes forecasting them harder
Forecast for Erin
It’s an extraordinarily good thing that Erin will be following a nearly perfect track for avoiding land as it wends its way through the western North Atlantic. Erin angled just north of the Leeward Islands and Puerto Rico on Saturday, and it was on track to swing between The Bahamas and Bermuda by midweek. Erin’s biggest impact will likely be high surf, beach erosion, and potentially deadly rip currents on a vast arc of coastline, from north- and east-facing shores along the Greater Antilles along the U.S. East Coast and Bermuda and perhaps up to Atlantic Canada.
Erin is expected to remain a formidable major hurricane for several more days. Minor variations in strength could push it down from cat 5 to cat 4 strength at any point, especially if an eyewall replacement cycle occurs this weekend. Wind shear will be stronger, around 15-20 knots, from Sunday into Tuesday, which could also be detrimental for Erin. On the other hand, sea surface temperatures along Erin’s path will actually increase from now through Tuesday, rising from 29 degrees Celsius (84 degrees Fahrenheit) to around 30°C (86°F), and the mid-level atmosphere surrounding Erin will moisten from a relative humidity around 55 percent to around 70 percent by Tuesday.
All these factors should add up to keep Erin potent for days to come. Moreover, the combination of increasing latitude and any eyewall replacement cycles will help Erin to enlarge, spreading its windfield over an ever-bigger area.
Multiple ensemble models remain in strong agreement on Erin’s track. There’s near-uninamous agreement among many dozens of ensemble-member tracks that Erin will track west of Bermuda and well east of the U.S. East Coast (see Fig. 1 below). Members of the new Google AI experimental tropical model (not shown) are in even tighter agreement around the general model consensus.


Erin will make its closest approach to North Carolina and Bermuda around midweek, moving between the two. The greater chance of weather impacts is to Bermuda, since Erin’s right-hand side will be stronger. The Saturday-morning forecast of Erin’s wind field showed a 30-40% chance that sustained winds will reach tropical-storm strength (at least 39 mph) in Bermuda (see Fig. 2 below). Odds of hurricane-force winds (not shown) in Bermuda are under 5%.


A potential new system in the Atlantic could pose more of a land threat than Erin
There’s still vast disagreement among models, but signs are increasing that the tropical Atlantic may spin up another tropical cyclone next week – perhaps one with a more southerly track that would have more of a chance of posing problems for the Caribbean and Southeast United States. Multiple recent runs of the operational GFS model have generated a system that reaches the northern Leewards by next weekend (August 23-24), potentially moves over or near the Greater Antilles, and goes on toward the Gulf of Mexico early in the week of August 25-29, possibly as a substantial hurricane.
As of Saturday afternoon, other leading operational models hadn’t yet produced this system, apart from the European AIFS, which had a weaker, farther-northeast system following in the oceanic footsteps of Erin. There were also hints of a weaker, more-northeastward system in the 12Z Saturday European ensemble, as well as some members of the GFS and Google ensembles. Since a seed for this potential system hasn’t yet emerged from the wave train of disturbances streaming off Africa, it’s far too soon to take any model forecasts as gospel. As of 2 p.m. EDT Saturday, no areas of concern for the next week were being highlighted by the National Hurricane Center, other than a possible short-lived spinup off the North Carolina coast (odds of development through Monday were 10 percent).
For now, it’s enough to keep in mind that conditions overall for next week appear to be on the supportive side for any disturbance that can get organized in the tropical Atlantic. The next name on the Atlantic list is Fernand.
Jeff Masters contributed to this post.
Source link