Download The App
Please Read
Webcams
Support
Menu
SWFL Weather
  • Lee County
  • Charlotte County
  • Collier County
  • Hendry County
  • Desoto County
  • Glades County
  • Sarasota County
  • Manatee County
  • Hillsborough County
  • Pinellas County
  • Home
  • Get App
    • Apple
    • Android
  • Radar
    • Find Your Radar
    • Local
      • SWFL
      • Lee County
        • Cape Coral
        • Fort Myers
        • Sanibel
        • North Fort Myers
        • Bonita Springs
        • St. James City
        • Bokeelia
        • Lehigh Acres
        • Alva
      • Charlotte County
        • Port Charlotte
        • Punta Gorda
        • Rotonda West
        • Manasota Key
      • Collier County
        • Naples
        • Ave Maria
        • Marco Island
        • Immokalee
      • Sarasota County
        • Sarasota
        • North Port
        • Venice
        • Fruitville
        • Siesta Key
        • Bee Ridge
        • Nokomis
        • Osprey
      • Desoto county
        • Arcadia
      • Hendry County
        • LaBelle
        • Clewiston
        • Fort Denaud
        • Harlem
      • Manatee County
        • Bradenton
        • Lakewood Ranch
        • Anna Maria
        • Cortez
      • Hillsborough County
        • Tampa
        • Brandon
        • Plant City
        • Temple Terrace
        • Carrollwood
        • Town N Country
      • Pinellas County
        • St Petersburg
        • Clearwater
        • Tarpon Springs
        • Dunedin
        • Largo
        • Pinellas Park
        • Seminole
      • Glades County
        • Moore Haven
        • Buckhead Ridge
    • State Radars
      • South
        • South Atlantic
          • Florida
          • Georgia
          • South Carolina
          • North Carolina
          • Virginia
          • West Virginia
          • Maryland
          • Delaware
        • East South Central
          • Alabama
          • Mississippi
          • Tennessee
          • Kentucky
        • West South Central
          • Texas
          • Louisiana
          • Oklahoma
          • Arkansas
      • Northeast
        • Mid-Atlantic
          • New York
          • New Jersey
          • Pennsylvania
        • New England
          • Massachusetts
          • Connecticut
          • Rhode Island
          • New Hampshire
          • Vermont
          • Maine
      • Midwest
        • East North Central
          • Michigan
          • Ohio
          • Indiana
          • Illinois
          • Wisconsin
        • West North Central
          • Missouri
          • Kansas
          • Iowa
          • Nebraska
          • Minnesota
          • North Dakota
          • South Dakota
      • West
        • Pacific
          • California
          • Oregon
          • Washington
          • Hawaii
          • Alaska
        • Mountain
          • New Mexico
          • Arizona
          • Colorado
          • Utah
          • Nevada
          • Wyoming
          • Idaho
          • Montana
    • Satellite Sectors
    • Radar Sectors
      • Southeast
      • Northeast
      • Southern. Mississippi Valley
      • Southern Plains
      • Southern Rockies
      • Pacific Southwest
      • Pacific Northwest
      • Northern Rockies
      • Upper Mississippi Valley
      • Great Lakes
    • US Radar
    • Lightning
  • Maps
    • Convective Outlook
    • Forecast Charts
    • Rain Forecast
    • Short Term Forecast
    • Mesoscale Discussions
    • Lightning Radar Map
    • Storm Reports
    • Power Outage Map
    • Weather Hazards Otlk
    • Air Quality Map
    • Seasonal Outlook
  • Webcams
    • Add A Weather Cam
    • Webcam Map
    • Youtube Live
    • Fort Myers Beach
      • Margaritaville
      • Fins Up Club
      • Caper Beach Club
      • Pink Shell
    • Sanibel Island
      • Sanibel Causeway
      • Siesta Sanibel
      • Sanibel Toll Plaza
      • Sundial Beach Resort
    • Pine Island
      • Bokeelia Beach Cam
      • Four Winds Marina
      • Matlacha Bridge
      • D and D Bait Tackle
      • St James City
    • Gasparilla Marina
    • Cape Coral Rubicon Canal
    • Luminary Hotel Fort Myers
    • Manasota Key Beach
    • Tween Waters Captiva
    • Boca Grande Club
    • Port Sanibel Marina
    • King Fisher Fleet
    • Pickleplex Pickleball
    • Mucky Duck Captiva
  • Marine
    • Tides
      • LocalTides.net
      • Lee County
      • Charlotte County
      • Collier County
      • Manatee County
      • Sarasota County
      • Hillsborough County
      • Pinellas County
    • Marine Forecast
      • All Zones Map
      • Florida Zone
        • Florida
        • Tampa Bay
        • Florida Keys
        • Miami
        • Melbourne
        • Jacksonville
        • Tallahassee
        • Mobile
      • Alabama Zone
      • Louisiana Zone
        • New Orleans
        • Lake Charles
      • Texas Zone
        • Lake Charles
        • Galveston
        • Corpus Christi
        • Brownsville
      • Georgia Zone
      • South Carolina Zone
        • Charleston
      • North Carolina Zone
        • Wilmington
        • Newport Morehead
      • Virginia Zone
    • Buoys
    • Florida Red Tide
    • Fishing Reports
  • Blogs
    • The Eyewall
    • Yale Climate Connections
    • Tropical Tidbits
  • Hurricane
    • Hurricane Tracker
    • Tropical Weather Outlook
    • Hurricane Models
    • Atlantic NHC Updates
    • Pacific NHC Updates
    • Hurricane Threat Maps
      • Storm Surge Impact Map
      • Wind Impact Map
      • Tornado Impact Map
      • Rain Flood Impact Map
    • Satellite Imagery
    • Long Range Outlook
    • Atlantic TW Discussion
    • Formation Probability
    • Sea Surface Temperatures
    • Hurricane Names
    • Hurricane News
  • Support
    • Become a Member
    • Contact Us
    • Advertising
    • Link To Us
    • Link Partners
    • Social Profiles
    • Add Webcam
    • Donate
    • About Us

Jeff Masters Hurricane Blog

Home » Jeff Masters Hurricane Blog
14 Apr
Yale Climate Connections - Jeff Masters Weather Blog

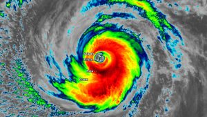
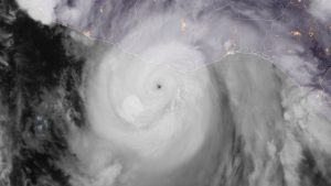
Category 4 Typhoon Sinlaku powers through the U.S. Northern Mariana Islands » Yale Climate Connections

  • Tuesday, April 14, 2026 at 12:55 pm
  • Posted by chris
  • 0 comments

Continue reading

12 Apr
Yale Climate Connections - Jeff Masters Weather Blog

Cat 5 Super Typhoon Sinlaku the 2nd-strongest typhoon so early in the year » Yale Climate Connections

  • Sunday, April 12, 2026 at 9:33 pm
  • Posted by chris
  • 0 comments

Continue reading

10 Apr
Yale Climate Connections - Jeff Masters Weather Blog

The emerging danger of post-hurricane heat waves » Yale Climate Connections

  • Friday, April 10, 2026 at 7:00 am
  • Posted by chris
  • 0 comments

Continue reading

09 Apr
Yale Climate Connections - Jeff Masters Weather Blog

The world just had its second-warmest March on record » Yale Climate Connections

  • Thursday, April 9, 2026 at 2:00 pm
  • Posted by chris
  • 0 comments

Continue reading

09 Apr
Yale Climate Connections - Jeff Masters Weather Blog

Forecasters predict a slightly below-average 2026 Atlantic hurricane season » Yale Climate Connections

  • Thursday, April 9, 2026 at 11:42 am
  • Posted by chris
  • 0 comments

Continue reading

08 Apr
Yale Climate Connections - Jeff Masters Weather Blog

hottest and driest in U.S. history » Yale Climate Connections

  • Wednesday, April 8, 2026 at 3:03 pm
  • Posted by chris
  • 0 comments

Continue reading

06 Apr
Yale Climate Connections - Jeff Masters Weather Blog

A powerhouse El Niño event appears to be brewing for 2026-27 » Yale Climate Connections

  • Monday, April 6, 2026 at 3:16 pm
  • Posted by chris
  • 0 comments

Continue reading

03 Apr
Yale Climate Connections - Jeff Masters Weather Blog

The 2026 Southwest U.S. heat wave was one of the six most astonishing weather events of the century » Yale Climate Connections

  • Friday, April 3, 2026 at 7:00 am
  • Posted by chris
  • 0 comments

Continue reading

01 Apr
Yale Climate Connections - Jeff Masters Weather Blog

AI trained on turtle poop predicts hurricanes better than any model » Yale Climate Connections

  • Wednesday, April 1, 2026 at 7:00 am
  • Posted by chris
  • 0 comments

Continue reading

23 Mar
Yale Climate Connections - Jeff Masters Weather Blog

Mind-blowing March heat wave crests; records melt from Arizona to Minnesota » Yale Climate Connections

  • Monday, March 23, 2026 at 12:17 pm
  • Posted by chris
  • 0 comments

Continue reading

20 Mar
Yale Climate Connections - Jeff Masters Weather Blog

Record-torching March heat ‘virtually impossible’ without climate change » Yale Climate Connections

  • Friday, March 20, 2026 at 12:00 pm
  • Posted by chris
  • 0 comments

Continue reading

16 Mar
Yale Climate Connections - Jeff Masters Weather Blog

Tornadoes, blizzard, record rain, wildfire, or summerlike heat » Yale Climate Connections

  • Monday, March 16, 2026 at 2:31 pm
  • Posted by chris
  • 0 comments

Continue reading

123›»
Copyright © 2025 Cape Weather - Doppler Radar Maps - Marine Forecast Zones - Hurricane Tracker - Webcams - Hourly Forecast - Tides
Website Designed By The Organic Media Group, A Fort Myers Website Design Company - URL Data
  • Menu
  • Categories
  • Lee County
  • Charlotte County
  • Collier County
  • Hendry County
  • Desoto County
  • Glades County
  • Sarasota County
  • Manatee County
  • Hillsborough County
  • Pinellas County
  • Home
  • Get App
    • Apple
    • Android
  • Radar
    • Find Your Radar
    • Local
      • SWFL
      • Lee County
        • Cape Coral
        • Fort Myers
        • Sanibel
        • North Fort Myers
        • Bonita Springs
        • St. James City
        • Bokeelia
        • Lehigh Acres
        • Alva
      • Charlotte County
        • Port Charlotte
        • Punta Gorda
        • Rotonda West
        • Manasota Key
      • Collier County
        • Naples
        • Ave Maria
        • Marco Island
        • Immokalee
      • Sarasota County
        • Sarasota
        • North Port
        • Venice
        • Fruitville
        • Siesta Key
        • Bee Ridge
        • Nokomis
        • Osprey
      • Desoto county
        • Arcadia
      • Hendry County
        • LaBelle
        • Clewiston
        • Fort Denaud
        • Harlem
      • Manatee County
        • Bradenton
        • Lakewood Ranch
        • Anna Maria
        • Cortez
      • Hillsborough County
        • Tampa
        • Brandon
        • Plant City
        • Temple Terrace
        • Carrollwood
        • Town N Country
      • Pinellas County
        • St Petersburg
        • Clearwater
        • Tarpon Springs
        • Dunedin
        • Largo
        • Pinellas Park
        • Seminole
      • Glades County
        • Moore Haven
        • Buckhead Ridge
    • State Radars
      • South
        • South Atlantic
          • Florida
          • Georgia
          • South Carolina
          • North Carolina
          • Virginia
          • West Virginia
          • Maryland
          • Delaware
        • East South Central
          • Alabama
          • Mississippi
          • Tennessee
          • Kentucky
        • West South Central
          • Texas
          • Louisiana
          • Oklahoma
          • Arkansas
      • Northeast
        • Mid-Atlantic
          • New York
          • New Jersey
          • Pennsylvania
        • New England
          • Massachusetts
          • Connecticut
          • Rhode Island
          • New Hampshire
          • Vermont
          • Maine
      • Midwest
        • East North Central
          • Michigan
          • Ohio
          • Indiana
          • Illinois
          • Wisconsin
        • West North Central
          • Missouri
          • Kansas
          • Iowa
          • Nebraska
          • Minnesota
          • North Dakota
          • South Dakota
      • West
        • Pacific
          • California
          • Oregon
          • Washington
          • Hawaii
          • Alaska
        • Mountain
          • New Mexico
          • Arizona
          • Colorado
          • Utah
          • Nevada
          • Wyoming
          • Idaho
          • Montana
    • Satellite Sectors
    • Radar Sectors
      • Southeast
      • Northeast
      • Southern. Mississippi Valley
      • Southern Plains
      • Southern Rockies
      • Pacific Southwest
      • Pacific Northwest
      • Northern Rockies
      • Upper Mississippi Valley
      • Great Lakes
    • US Radar
    • Lightning
  • Maps
    • Convective Outlook
    • Forecast Charts
    • Rain Forecast
    • Short Term Forecast
    • Mesoscale Discussions
    • Lightning Radar Map
    • Storm Reports
    • Power Outage Map
    • Weather Hazards Otlk
    • Air Quality Map
    • Seasonal Outlook
  • Webcams
    • Add A Weather Cam
    • Webcam Map
    • Youtube Live
    • Fort Myers Beach
      • Margaritaville
      • Fins Up Club
      • Caper Beach Club
      • Pink Shell
    • Sanibel Island
      • Sanibel Causeway
      • Siesta Sanibel
      • Sanibel Toll Plaza
      • Sundial Beach Resort
    • Pine Island
      • Bokeelia Beach Cam
      • Four Winds Marina
      • Matlacha Bridge
      • D and D Bait Tackle
      • St James City
    • Gasparilla Marina
    • Cape Coral Rubicon Canal
    • Luminary Hotel Fort Myers
    • Manasota Key Beach
    • Tween Waters Captiva
    • Boca Grande Club
    • Port Sanibel Marina
    • King Fisher Fleet
    • Pickleplex Pickleball
    • Mucky Duck Captiva
  • Marine
    • Tides
      • LocalTides.net
      • Lee County
      • Charlotte County
      • Collier County
      • Manatee County
      • Sarasota County
      • Hillsborough County
      • Pinellas County
    • Marine Forecast
      • All Zones Map
      • Florida Zone
        • Florida
        • Tampa Bay
        • Florida Keys
        • Miami
        • Melbourne
        • Jacksonville
        • Tallahassee
        • Mobile
      • Alabama Zone
      • Louisiana Zone
        • New Orleans
        • Lake Charles
      • Texas Zone
        • Lake Charles
        • Galveston
        • Corpus Christi
        • Brownsville
      • Georgia Zone
      • South Carolina Zone
        • Charleston
      • North Carolina Zone
        • Wilmington
        • Newport Morehead
      • Virginia Zone
    • Buoys
    • Florida Red Tide
    • Fishing Reports
  • Blogs
    • The Eyewall
    • Yale Climate Connections
    • Tropical Tidbits
  • Hurricane
    • Hurricane Tracker
    • Tropical Weather Outlook
    • Hurricane Models
    • Atlantic NHC Updates
    • Pacific NHC Updates
    • Hurricane Threat Maps
      • Storm Surge Impact Map
      • Wind Impact Map
      • Tornado Impact Map
      • Rain Flood Impact Map
    • Satellite Imagery
    • Long Range Outlook
    • Atlantic TW Discussion
    • Formation Probability
    • Sea Surface Temperatures
    • Hurricane Names
    • Hurricane News
  • Support
    • Become a Member
    • Contact Us
    • Advertising
    • Link To Us
    • Link Partners
    • Social Profiles
    • Add Webcam
    • Donate
    • About Us
Menu
Home
Radar
Webcams
Tropics